Die botanischen Rundgänge mit Roland Fasnacht haben jahrelange Tradition. Der Fokus des 2-stündigen Rundgangs in der Auenlandschaft, der Gehölzsammlung und dem Centre Löwenberg ist auf die Klimabäume gerichtet. Zu sehen bekommt man Beispiele an beiden Enden der Erfolgsskala. Einige Baumarten haben sich bewährt, andere kommen mit den aktuellen und zukünftigen Klima Verhältnissen nicht zurecht. Die auf dem Rundgang erwähnte Untersuchung der ETH Zürich über die vorzeitige Verbraunung in den gemässigten und mediterranen Wäldern weist seit längerem auf das Problem hin. Sogenannte Exoten oder Gastbäume, wie sie in Deutschland liebevoll genannt werden, dürften ein Rettungsanker unserer Wälder sein.


.
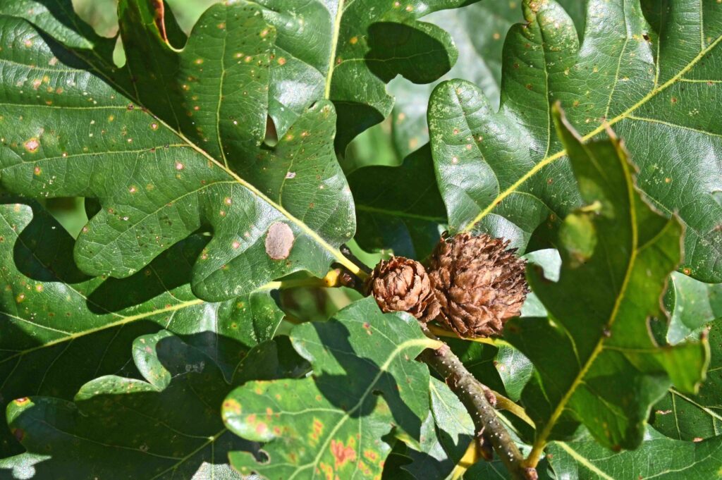
Der Herbst bringt die starken Farben und die Früchte hervor. Diese sind bei den verschiedenen Eichen besonders attraktiv:



.
Der Tulipier ist zum beliebtesten Holz bei Küchen- und Möbelbauern avanciert. Bedeutend feingliedriger kommt die Sumpfzypresse daher. Die vor wenigen Monaten gesetzten Bäumchen haben kräftig zugelegt und sind knapp einen Meter gewachsen. Die Vielfalt der Gehölze ist riesig und lässt das Herz jedes Dendrologen oder ‘Baumnovizen’ höherschlagen.



.
Vor allem ein Rehbock fühlt sich in und um den Auenwald sichtlich wohl und knabbert und fegt an den Jungbäumen. Fische sind die überraschend angekommenen Neulinge. Sie sind wohl in Form von Laich als Flugfracht im Gefieder von Enten eingebracht worden. Zu den ungebetenen Gästen hingegen zählen Leute, die den Auenwald mit dem nahegelegenen Werkstoffhof verwechseln, oder gar solche, die Jungpflanzen skrupellos über dem Boden abschneiden.



.
Die Farben und Formen der herbstlichen Jahreszeit laden zum Verweilen ein. Die Stiftung hat geplant, einen Pfad mit Infotafeln und einem Informationsstand anzulegen, um die Anlage noch anschaulicher und zugänglicher zu machen.



.
Der Abschluss des Rundgangs führt durch eine Art Ahnengalerie der Bäume im nahegelegenen Centre Löwenberg. Sie lässt die beeindruckten Teilnehmer staunen, bevor sie sich bei einem kleinen Umtrunk unter einer Platane beim Ausgangspunkt bei der La Ferme voneinander verabschieden.

.

.
